Service Guide

Get Ants Extermination Service

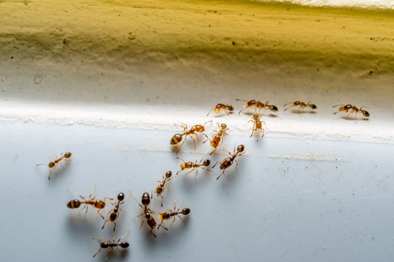
Local contractors specializing in ant extermination address infestations, eliminate nests, and protect properties from ongoing ant problems.

Ants extermination services are a common concern for property owners looking to protect their homes and businesses from unwanted pests. Whether dealing with a small invasion or a persistent colony, finding experienced service providers in the area can help address the issue effectively. Exploring local options allows property owners to compare available services and select professionals equipped to handle ant problems efficiently.

Understanding the importance of choosing the right contractor is essential for planning pest control projects. Local service providers have familiarity with common ant species and effective treatment methods specific to the area. Continued reading can assist property owners in identifying reputable contractors who can deliver tailored solutions to maintain a pest-free environment.

Get Ants Extermination Service Quotes

  • Ants Extermination - needed when ants invade kitchens or food storage areas.
  • Ants Nest Removal - required if ants establish colonies inside walls or underground.
  • Ant Control Treatments - suitable for preventing ant infestations in residential or commercial properties.
  • Ant Barrier Services - used to create a protective perimeter around buildings to keep ants out.
  • Ant Infestation Cleanup - necessary after ant colonies are eliminated to remove residual trails and debris.
Ants Extermination Service
Ants Extermination Service
Ants Extermination Service

Ants extermination services involve identifying and eliminating ant infestations within residential or commercial properties. These services typically include thorough inspections to locate ant colonies and entry points, followed by targeted treatments to remove existing ants and prevent future invasions. Service providers may utilize a combination of baiting, dusting, or liquid treatments designed to effectively control different ant species. Proper application and strategic placement of treatments are essential to ensure that the infestation is fully addressed, helping homeowners restore comfort and peace of mind in their living or working spaces.

Ant problems often arise when ants find accessible food sources, water, or shelter inside a property. Common signs of an infestation include visible ant trails, unexplained small piles of dirt near entry points, or increased sightings of ants indoors. These pests can pose nuisance issues and, in some cases, lead to contamination of food and surfaces. Ant extermination services help resolve these problems by removing the pests and addressing the conditions that attract them. This proactive approach can prevent larger infestations from developing, saving homeowners from more extensive issues down the line.

Properties that typically seek ant extermination services include single-family homes, apartment complexes, and commercial buildings such as restaurants or grocery stores. Homes with gardens, landscaped yards, or cracks in foundations are more susceptible to ant invasions and often require professional treatment. Commercial properties, especially those involved in food storage or preparation, prioritize effective pest control to maintain hygiene standards and comply with health regulations. Regardless of property type, local service providers can tailor treatments to suit specific needs, ensuring effective control of ant populations.

Homeowners who notice persistent ant activity or signs of an infestation should consider consulting local contractors specializing in pest control. These professionals can assess the situation, recommend appropriate treatment options, and implement solutions to eliminate ants and prevent future problems. Timely intervention can help maintain a clean, pest-free environment, whether in a residence or a commercial space. Connecting with experienced local pros ensures that the work is handled efficiently and effectively, providing peace of mind and long-term protection against ant invasions.

The overview below groups typical Ants Extermination Service projects into broad ranges so you can see how smaller, mid-sized, and larger jobs often compare in your area.

In many markets, a large share of routine jobs stays in the lower and middle ranges, while only a smaller percentage of projects moves into the highest bands when the work is more complex or site conditions are harder than average.

Smaller Repairs - Typical costs for routine ant extermination jobs in residential settings range from $250 to $600. Many common infestations fall within this range, covering initial treatments and minor interventions.

Standard Treatments - More comprehensive ant control services usually cost between $600 and $1,200. These projects often involve multiple visits and targeted baiting or spraying methods.

Larger or Complex Projects - Larger, more complex ant extermination efforts can reach $1,200 to $3,000 or more. Fewer projects fall into this high-tier range, typically involving extensive property treatments or persistent infestations.

Full Property Extermination - Complete eradication of ants across an entire property may cost $3,000+ in some cases. Such projects are less common and usually reserved for severe or widespread infestations requiring extensive treatment plans.

Actual totals will depend on details like access to the work area, the scope of the project, and the materials selected, so use these as general starting points rather than exact figures.

Get a Quote

Pest Control for Cockroaches - professionals who eliminate common household pests often use similar techniques and tools as ant exterminators to identify and treat infestations effectively.

Termite Inspection and Treatment - these projects involve planning and executing treatments to prevent or eradicate wood-damaging insects, sharing expertise in pest management and treatment application.

Spider and Insect Extermination - local contractors specializing in general insect removal utilize comparable methods and equipment as ant control services to ensure comprehensive pest management.

Rodent Control Services - addressing rodent infestations requires pest identification and targeted treatment strategies similar to those used in ant extermination projects.

Bed Bug Removal - this type of project involves detailed inspection and treatment planning, paralleling ant control efforts in identifying and eliminating pests effectively.

Wildlife Exclusion and Removal - professionals who handle larger pests and entry points apply planning skills and tools akin to ant extermination to prevent future invasions.

Ants Extermination Service

When comparing service providers for ant extermination, it’s important to consider their experience with similar projects. Homeowners should inquire about how long a local contractor has been handling pest issues like ants and whether they have encountered situations similar to their own. An experienced professional is more likely to understand the nuances of different ant species, property types, and effective treatment methods, which can contribute to a more successful outcome. Gathering information about their background with comparable projects can help ensure that the chosen service provider has the practical knowledge needed to address the specific pest challenge.

Clear written expectations are essential when evaluating local contractors for ant extermination services. Homeowners should seek detailed descriptions of the proposed treatment plan, including the methods used, areas that will be treated, and any necessary preparations or follow-up steps. Having this information in writing helps set realistic expectations and provides a reference point for what the service will entail. It’s also beneficial to clarify any questions about the scope of work upfront, ensuring that both parties share a mutual understanding of what the project involves and what results can reasonably be anticipated.

Reputable references and good communication are key factors to consider when selecting local service providers. Homeowners can ask potential contractors for references from previous clients who had similar ant issues, allowing for insights into their experience and the quality of work performed. Additionally, a contractor’s responsiveness and clarity in communication can indicate their professionalism and reliability. Open, straightforward dialogue helps build trust and ensures that homeowners feel comfortable asking questions or expressing concerns throughout the process. It’s important to remember that this site introduces homeowners to local options, serving as a resource to compare and connect with qualified service providers who can handle the work, rather than performing the work directly.

Get an Ants Extermination Service Quote

Property owners use Ants Extermination Service services for practical projects around their homes and businesses. This guide focuses on everyday jobs and straightforward project options.

Ants Extermination Service
Ants Extermination Service

Ants can quickly become a nuisance for property owners dealing with common household or outdoor issues. Whether ants are invading kitchens, contaminating stored food, or building nests in gardens and yard areas, many seek the help of local contractors to address these persistent pests. These service providers specialize in identifying ant colonies and implementing effective removal strategies to restore comfort and hygiene to residential or commercial spaces.

In addition to immediate infestations, property owners may look for ant extermination services to prevent future problems. Ants often find their way indoors through small cracks or gaps, especially during warmer months, prompting a need for professional assistance to seal entry points and apply targeted treatments. Local contractors experienced in pest control can assess the situation and recommend the appropriate solutions to keep ant populations under control.

Get an Ants Extermination Service Quote

How do local contractors handle ant infestations? Local ant extermination service providers typically assess the extent of the infestation and apply targeted treatments to eliminate ants and prevent future issues.

What methods are commonly used for ant extermination? Common methods include baiting, spot treatments, and barrier applications, tailored to the specific type of ants and the affected area.

Are ant extermination services safe for homes with pets and children? Most local service providers use treatment options designed to minimize risks, but it’s recommended to discuss safety concerns directly with the contractor.

Can ant extermination services prevent future ant problems? Yes, many service providers include recommendations and treatments aimed at reducing the likelihood of recurring ant infestations.

What should be expected during an ant extermination service? Contractors typically inspect the property, identify ant entry points, and apply appropriate treatments to target the colony and prevent re-infestation.

Ants Extermination Planning - Property owners can explore options for ongoing ant prevention strategies to keep their homes ant-free.

Seasonal Pest Control Ideas - Homeowners may consider scheduling regular treatments during peak ant activity seasons to maintain a pest-free environment.

Preventative Measures - Discussing barrier methods and habitat elimination with local contractors can help reduce ant entry points around a property.

Inspection & Assessment - Conducting thorough property inspections with service providers can identify potential ant nesting sites before an infestation begins.

Ants Extermination Service

If you are thinking about Ants Extermination Service for a property, this guide is meant to help you understand the work, the typical project types, and how different options might fit your plans.

When you are ready, you can use the quote form on this page to share a few details about your project. From there, local pros can review the basics and respond with options that match what you have in mind.

Get a Quote

Ants Extermination Quotes